Bibliograficzne bazy danych : kierunki rozwoju i możliwości współpracy
Ogólnopolska konferencja naukowa z okazji 10-lecia bazy danych BazTech
Bydgoszcz, 27-29 maja 2009

Poprzedni - Spis treści - Następny
            

Mariusz Polarczyk, Renata Tomaszewska

Biblioteka Główna Uniwersytetu Przyrodniczego w Poznaniu

Baza Danych AGRO - 16 lat działalności na rzecz nauki i edukacji

Abstrakt

Przedmiotem opracowania są etapy rozwoju Bibliograficznej Bazy Danych AGRO, opracowywanej przez zespół pracowników Biblioteki Głównej i Centrum Informacji Naukowej Uniwersytetu Przyrodniczego w Poznaniu, na przestrzeni 16 lat. Baza AGRO to nie tylko cenne źródło informacji o zawartości treściowej polskich czasopism naukowych i popularnonaukowych dla studentów i pracowników naukowych, ale jednocześnie narzędzie pracy dla bibliotekarzy. Indeksując artykuły z czasopism naukowych, bibliotekarze dziedzinowi pogłębiają i uaktualniają swoją wiedzę, którą przekazują w procesie dydaktycznym studentom oraz pozostałym użytkownikom biblioteki. Jak inne bazy tworzone w bibliotekach, baza AGRO współtworzy światowe zasoby informacyjne. W artykule przedstawiono strukturę Bibliograficznej Bazy Danych AGRO, wpływającą na jej nieprzerwaną atrakcyjność i wartość informacyjną. Omówiono zaangażowanie twórców bazy w systematyczne doskonalenie zawartości treściowej oraz oprogramowanie bazy ze szczególnym uwzględnieniem najnowszych rozwiązań technologicznych związanych z procesem przystosowawczym do jej bezpłatnego, internetowego udostępnienia na platformie ICM UW w Bibliotece Wirtualnej Nauki. Przedstawiono wykorzystanie bazy AGRO przez jej użytkowników na przestrzeni czasu.

Słowa kluczowe

Bibliograficzna Baza Danych AGRO, naukowe bazy danych, bibliograficzne bazy danych, nauka, edukacja

Abstract

AGRO database – 16-year activity for the benefit of science and education. The aim of the paper is to present the stages of development of the AGRO Bibliographic Database compiled collectively by the workers of the Main Library and the Centre of Scientific Information at the Poznan University of Life Sciences during the last 16 years. Not only is the AGRO Base a valuable source of information for students and scientific workers which includes the contents of Polish scientific magazines but it is also a tool for librarians. By putting the articles from scientific magazines on the Index, the field librarians increase and update their knowledge which is then passed on the students and other library users. Like other databases compiled in libraries AGRO database co-authors the world information resources. Its authors presented the structure of the Base which makes it attractive and valuable. We also discussed its creators’ great commitment to systematic improvement of the contents and the base software with special regard to the newest technological solutions connected with adapting the base to its free Internet availability on Interdisciplinary Centre for Mathematical and Computional Modeling Warsaw University (ICM UW) platform in Scientific Virtual Library. The different use of the AGRO database during all the years was also presented.

Keywords

AGRO database, Scientific databases, Databases of bibliographic information, science, education

pdf prezentacja

Biblioteka akademicka – informacja, wiedza, edukacja

Informacja jest podstawą życia: biologicznego (struktury DNA)
i społecznego (treść kultury). Parafrazując Staszica, można powiedzieć,
iż człowiek i społeczeństwo bez informacji – nawet pomyśleć się nie da.

Tomasz Goban-Klas, W stronę społeczeństwa medialnego

Podstawą polityki komunikacyjnej Unii Europejskiej jest koncepcja społeczeństwa informacyjnego jako społeczeństwa uczącego się. W modelu tym chodzi zarówno o stworzenie dostępu do usług informacyjnych, dostępu do informacji, jak również o wykorzystanie nowych technologii w długotrwałym procesie szeroko rozumianej edukacji. Do elementarnych cech społeczeństwa informacyjnego zaliczamy nie tylko wytwarzanie i przechowywanie, ale też przekazywanie, pobieranie oraz wykorzystanie informacji przez obywateli i organizacje, dla użytku własnego, społecznego, w edukacji i działalności zawodowej. Społeczeństwo informacyjne to społeczeństwo przygotowane do odbioru informacji i umiejące ją selekcjonować z różnych źródeł, także korzystające intensywnie z multimediów. Wiedza jest pełnym wykorzystaniem informacji i danych połączonych z potencjałem ludzkich umiejętności, pomysłów, zaangażowania i motywacji… Warunkiem przekształcenia informacji w spójną wiedzę jest umiejętny sposób jej opracowania i przedstawienia oraz wysoko kwalifikowane pośrednictwo informacyjne[1].

W społeczeństwie opartym na wiedzy informacja jest wartością podstawową i nadrzędną, a dostęp do niej gwarantuje postęp naukowy i rozwój gospodarczy. Szybki obieg informacji jest gwarancją szybkiego rozwoju. Przełom XX i XXI wieku to wykreowanie nowego typu społeczeństwa, o którym T. Goban-Klas mówi: społeczeństwo medialne, gdzie media są środowiskiem człowieka, jego rzeczywistością. Społeczeństwo medialne – obejmuje pojęcie społeczeństwa informacyjnego (treść) i społeczeństwa sieciowego (forma), przy czym za McLuhanem pierwszeństwo daje formie. Rozwijając myśl McLuhana, można dzisiaj twierdzić: Sieć jest Medium – Medium jest Przekazem – Przekaz jest Informacją – Informacja jest w Sieci[2].

Szansą budowy podstaw społeczeństwa informacyjnego (wiedzy, medialnego) jest system dystrybucji wiedzy akademickiej, metody weryfikacji i aktualizacji wiedzy poprzez wykorzystanie różnych źródeł. Zadaniem biblioteki naukowej jest przybliżanie nowych technologii informacyjno-komunikacyjnych, tworzenie zasobów informacyjnych, następnie udostępnianie ich szerokiej grupie użytkowników. W dobie społeczeństwa globalnej informacji, bazy danych tworzone w bibliotekach współtworzą światowe zasoby informacyjne. W dużym stopniu usprawniają pracę informacyjną bibliotekarzy i proces udostępniania zbiorów bibliotecznych, wspomagają proces dydaktyczny.

Bibliograficzna Baza Danych AGRO – charakterystyka bazy

Biblioteka Główna Uniwersytetu Przyrodniczego w Poznaniu, znając zapotrzebowanie swoich użytkowników na szybką i precyzyjną informację naukową na określony temat, podjęła w roku 1993 inicjatywę stworzenia elektronicznego źródła informacji dziedzinowej pod nazwą Bibliograficzna Baza Danych AGRO. Inicjatorem, pomysłodawcą, pierwszym autorem i pierwszym redaktorem był ówczesny dyrektor biblioteki, Włodzimierz Gołąb. Potrzeba stworzenia bazy wynikała z małej oferty baz danych indeksujących prace w języku polskim. Wykorzystano bezpłatne oprogramowanie CDS/ISIS i rozpoczęto prace nad opracowaniem formularza do wprowadzania danych opisów bibliograficznych prac naukowych z czasopism. W roku 1993 do współpracy zaproszono pracowników biblioteki z Oddziału Informacji Naukowej oraz filii. Słownik bazy wzorowany był na słowniku słów kluczowych i tezaurusie słów kluczowych utworzonym w Oddziale Informacji Naukowej. Wraz z rozbudową bazy słownik bazy AGRO został wzbogacony o zasób szczegółowych i kontrolowanych słów kluczowych tworzonych przez bibliotekarzy. Przez wiele lat zespół autorski składał się z kilku osób, które wielkim wysiłkiem tworzyły i udoskonalały bazę. Autorzy bazy, w większości bibliotekarze dziedzinowi, indeksując zawartość specjalistycznych wydawnictw ciągłych, pogłębiają swoją wiedzę, autorzy z wykształceniem bibliotekarskim zdobywają wiedzę z zakresu rolnictwa i nauk przyrodniczych niezbędną do tworzenia specjalistycznej bazy. Każdy z twórców bazy pracujący od jej początków do dnia dzisiejszego wprowadził i zaindeksował tysiące dokumentów. Baza tworzona jest przez pracowników biblioteki poza godzinami pracy. Biorąc pod uwagę niskie wynagrodzenie za pracę nad tworzeniem AGRO, można nazwać autorów i redaktorów bazy prawdziwymi pasjonatami. W 2004 r. zostali oni zespołowo wyróżnieni przez MENiS – Za wkład pracy w stworzenie i wdrożenie do światowego systemu informacji naukowej serii Baz Bibliograficznych AGRO. W ostatnich latach zwiększyła się liczba autorów. Nowi autorzy zostali przeszkoleni przez długoletnich twórców bazy.

Baza AGRO obejmuje swym zasięgiem tematycznym nauki przyrodnicze i stosowane, takie jak: rolnictwo, leśnictwo, technologia żywności, żywienie człowieka, hodowla zwierząt, technika rolnicza, inżynieria środowiska, ogrodnictwo, biotechnologia, ochrona środowiska, agroturystyka, ekonomia, technologia drewna, przemysł drzewny. Zasięg bazy to lata 1992–2009 i planowana kontynuacja. Baza zawiera opisy bibliograficzne prac naukowych i popularnonaukowych, które ukazały się w polskich wydawnictwach ciągłych, publikowanych w języku polskim i języku angielskim lub innych językach ze streszczeniami angielskimi. Do roku 2009 dzieliła się na trzy części:

  • Baza AGRO-LIBREX – bibliografia artykułów z polskich czasopism w języku polskim,
  • Baza AGRO-AGEN – bibliografia artykułów z polskich czasopism w języku angielskim lub innych ze streszczeniami angielskimi,
  • Baza AGRO-KONF – bibliografia referatów wygłoszonych na konferencjach, wydawanych w formie materiałów konferencyjnych jako wydawnictwa zwarte. W tej części bazy zakres tematyczny jest poszerzony o zagadnienia bibliotekoznawstwa i informacji naukowej.

Baza AGRO zawiera najistotniejsze dane o artykułach w indeksowanych czasopismach i konferencjach. Opisy bibliograficzne prac naukowych i popularnonaukowych są sporządzane z autopsji z wydawnictw gromadzonych w naszej bibliotece i chociaż nie zawierają abstraktów, to wnikliwa analiza treści za pomocą słów kluczowych wybranych z treści, streszczenia i tytułu dokumentu w pełni charakteryzuje zawartość treściową artykułu. Poprzez analizę indeksowanego dokumentu wykazujemy najważniejsze zagadnienia przedstawione w treści. Zbiór słów kluczowych wzrasta dowolnie wraz z rozwojem zagadnień indeksowanych w bazie. Słownik słów kluczowych używanych do indeksacji uporządkowany jest alfabetycznie, jest bardzo szczegółowy i kontrolowany. Każde słowo kluczowe pełni funkcję wyrażenia wyszukiwawczego, któremu odpowiada przynajmniej jeden dokument zaindeksowany. Rekordy baz AGRO-LIBREX i AGRO-AGEN zbudowane są z następujących pól: autorzy artykułu, tytuł artykułu, tytuł równoległy, tytuł czasopisma z rokiem, tomem, numerem wydania, opis fizyczny, adres pierwszego autora, rozwinięcie tytułu czasopisma, słowa kluczowe, język artykułu, język abstraktów, rozwinięcie skrótu tytułu czasopisma do pełnego brzmienia oraz uwagi dotyczące zmian tytułu, częstotliwości wydawania, dostępu pełnotekstowego i inne. Rekordy w bazie AGRO-KONF uzupełnione są o pola: tytuł konferencji, jej nazwa, miejsce i data odbycia, organizator lub organizatorzy konferencji, redaktor wydania, ISBN. W bazie AGRO-LIBREX i AGRO-AGEN terminami wyszukiwawczymi są: autor artykułu, tytuł artykułu, skrót tytułu czasopisma i jego zasoby według lat wydania, słowa kluczowe. Natomiast w bazie AGRO-KONF wyszukiwanie odbywa się przez: nazwę konferencji, tytuł konferencji, tytuł referatu, autora referatu, redaktora konferencji, miejsce i datę konferencji oraz słowa kluczowe charakteryzujące treść referatu konferencji. W chwili obecnej baza AGRO zawiera ponad 300 tysięcy opisów bibliograficznych z ponad 860 tytułów polskich czasopism z nauk rolniczych, przyrodniczych i technicznych.

Dystrybucja bazy AGRO

Od 16 lat baza AGRO udostępniana jest na terenie całej Polski. Dystrybutorem i wydawcą bazy do roku 1998 była firma Madex z Poznania. W roku 1993 ukazała się po raz pierwszy edycja bazy AGRO-LIBREX, w roku 1996 zaczęto wydawać bazę AGRO-AGEN, w roku 1997 bazę AGRO-KONF. Bazy wydawane były kwartalnie, początkowo na dyskietkach, następnie na CD-ROM-ach w oprogramowaniu CDS/ISIS dla DOS. W roku 1999 biblioteka zrezygnowała z pośrednictwa firmy Madex, przejmując na siebie wydawanie, dystrybucję i promocję własnej bazy. W roku 2003, zgodnie z uwagami Senackiej Komisji ds. Nauki, Biblioteka Główna zawiązała Konsorcjum AGRO, do którego przystąpiło 13 uczestników (w tym polskie biblioteki naukowe innych wyższych uczelni rolniczych oraz instytuty naukowe). Konsorcjum zostało utworzone w celu pozyskania przychodów na utrzymanie i tworzenie bazy AGRO. Członkowie konsorcjum otrzymywali rocznie cztery edycje bazy w wersji jednostanowiskowej lub sieciowej w oprogramowaniu klienta CDS/ISIS dla DOS lub (i) od 2004 r. w oprogramowaniu CD/ISIS dla Windows. Umowy Konsorcjum Bazy AGRO obowiązywały do kwietnia 2008 r. W roku 2004, dzięki podjętym staraniom, baza AGRO została zarejestrowana w międzynarodowym systemie informacji o wydawnictwach ciągłych i oznaczona symbolem ISSN 1732-7172. W tym samym roku baza AGRO zarejestrowana została w Ulrich’s Periodical Directory.

Formy dostępu do bazy AGRO

Do roku 2008 w naszej bibliotece funkcjonowały trzy formy dostępu do bazy AGRO, które na przestrzeni lat zmieniały się, wzbogacając możliwości wyszukiwawcze. Uwzględniano preferencje użytkowników i ich cenne uwagi dotyczące szaty graficznej bazy. Poniżej przedstawiono interfejsy wyszukiwawcze dostępnych oprogramowań bazy AGRO:

  • Klient dla DOS – Mikro CDS/ISIS. Wyszukiwanie informacji za pomocą słów kluczowych odbywa się bezpośrednio ze słownika, pozostałe terminy wyszukiwawcze poprzedza się określonymi dla bazy prefiksami ze znakiem równości, np. TY= tytuł artykułu, AU= autor artykułu, TC= skrót tytułu czasopisma. Wyszukiwanie informacji w systemie CDS/ISIS odbywa się przy użyciu pliku inwersyjnego. Alternatywą jest wyszukiwanie pełnotekstowe. Metoda ta umożliwia wyrażenie dowolnych wymagań wyszukiwawczych niezależnie od zawartości pliku inwersyjnego. W wyrażeniu wyszukiwawczym użytkownik bazy może łączyć terminy wyszukiwawcze, używając operatorów wyszukiwawczych, które wskazują na związek zachodzący pomiędzy terminami. Wersja CDS/ISIS dla DOS była preferowana przez licznych członków Konsorcjum Bazy AGRO.

    Rys. 1. Wyszukiwanie tytułu czasopisma, przy użyciu prefiksu dla skrótu tytułu czasopisma

    Rys. 1. Wyszukiwanie tytułu czasopisma, przy użyciu prefiksu dla skrótu tytułu czasopisma
    Źródło: opracowanie własne.

    Rys. 2. Opis wyszukanego artykułu z charakterystyką treści (słowa kluczowe) w systemie CDS/ISIS dla DOS

    Rys. 2. Opis wyszukanego artykułu z charakterystyką treści (słowa kluczowe) w systemie CDS/ISIS dla DOS
    Źródło: opracowanie własne.

  • Wersja CDS/ISIS dla Windows. Po rozpoznaniu preferencji czytelników dostęp do bazy uzupełniono wersją CDS/ISIS dla Windows. Czytelnicy korzystali z nowej wersji, bibliotekarze mogą do dnia dzisiejszego korzystać z obu dostępnych dla siebie wersji. Opisy artykułów zawarte w bazie można wyszukiwać przez słownik według zasad stosowanych w wersji CDS/ISIS dla DOS. Wersja ta jednak zwiększa możliwości wyszukiwawcze, przez wyszukiwanie wspomagane oraz wyszukiwanie dla ekspertów, którego przykład przedstawiono poniżej. Wyszukane słowo kluczowe zostaje wyróżnione w tekście.

    Rys. 3. Opis wyszukanego artykułu według klucza wyszukiwawczego – skrótu tytułu czasopisma wyszukanego w słowniku. Wersja CDS/ISIS dla Windows

    Rys. 3. Opis wyszukanego artykułu według klucza wyszukiwawczego – skrótu tytułu czasopisma wyszukanego w słowniku. Wersja CDS/ISIS dla Windows
    Źródło: opracowanie własne.

    Rys. 4. Wyszukiwanie dla ekspertów według słowa kluczowego. Opis artykułu z zaznaczonym terminem wyszukiwawczym

    Rys. 4. Wyszukiwanie dla ekspertów według słowa kluczowego. Opis artykułu z zaznaczonym terminem wyszukiwawczym
    Źródło: opracowanie własne.

    W bazie AGRO w systemie CDS/ISIS aplikacja kliencka była uruchamiana lokalnie z lokalną bazą danych, lokalnie z bazą danych przechowywaną na płycie CD lub w otoczeniu sieciowym, przez otoczenie sieciowe lub bezpośrednio z CD-ROM-u wraz z bazą danych. Wyszukiwanie w bazie AGRO w przedstawionych wersjach, pomimo instrukcji obsługi, wymagało często pomocy bibliotekarza. W celu uproszczenia wyszukiwania informacji z bazy zastosowaliśmy przeglądarkę WWW zintegrowaną z witryną WWW biblioteki.

  • System WWW-ISIS z przeglądarką WWW. Jest to system pracujący w środowisku klient-serwer. Z przeglądarki WWW mogą korzystać użytkownicy w sieci lokalnej Uniwersytetu Przyrodniczego w Poznaniu. Dostęp do bazy AGRO w Internecie jest autoryzowany. Cechuje go prostota interfejsu wyszukiwawczego oraz niezależność od systemu operacyjnego. Formularz wyszukiwawczy zawiera operatory wyszukiwania, pola kryteriów wyszukiwawczych, słownik, przyciski funkcyjne.

    Rys. 5. Formularz wyszukiwawczy w przeglądarce WWW

    Rys. 5. Formularz wyszukiwawczy w przeglądarce WWW
    Źródło: opracowanie własne na podstawie: http://150.254.174.124/wwwisis/AGRO.01/form.htm[3].

    Rys. 6. Formularz wyszukiwawczy w przeglądarce WWW

    Rys. 6. Formularz wyszukiwawczy w przeglądarce WWW
    Źródło: opracowanie własne na podstawie: http://150.254.174.124/wwwisis/AGRO.01/form.htm.

Posadowienie bazy AGRO w ICM UW pod adresem http://agro.icm.edu.pl

Technologia cyfrowa oraz Internet stwarzają bibliotekom nowe możliwości nieograniczonego poszukiwania treści za pomocą zaawansowanych technik wyszukiwawczych. Baza AGRO w dostępie sieciowym promuje polską myśl naukową. Zwiększa wykorzystanie księgozbioru, jednocześnie podnosi swoją atrakcyjność i prestiż. Czytelnik otrzymuje maksimum informacji z jednej platformy wyszukiwawczej. W grudniu 2006 r. przedstawiciele Biblioteki Głównej Uniwersytetu Przyrodniczego w Poznaniu wznowili rozmowy z ICM Uniwersytetu Warszawskiego (ICM UW) w sprawie otrzymania dotacji na rozwój bazy i nieodpłatnego upowszechniania jej w Internecie. Biblioteka otrzymała dotacje na zakup sprzętu komputerowego. Podjęto prace nad ujednoliceniem słownika słów kluczowych, wykluczając synonimy i tworząc system odsyłaczy. Przeprowadzono prace nad eksportem poszczególnych części bazy AGRO, tworzonej dotychczas w formacie CDS/ISIS do relacyjnej struktury w formie zapytań SQL do ICM w Warszawie w celu umieszczenia ich na platformie ICM UW i nieodpłatnego rozpowszechniania w Internecie. Zgodnie z sugestiami użytkowników bazy, w ramach selekcji wycofano z bazy 50 tytułów mniej prestiżowych czasopism. Zaprzestano kontynuacji indeksowania w bazie AGRO 22 tytułów czasopism, umieszczonych w bazie BazTech. Dzięki współpracy z ICM UW i otrzymanej dotacji na finansowanie tworzenia i utrzymania bazy w 2008 r. wersja testowa bazy została udostępniona w Internecie na platformie Biblioteki Wirtualnej Nauki ICM. Od roku 2009 baza AGRO jest dostępna w Internecie dla ogółu internautów, pod adresem: http://agro.icm.edu.pl (aktualizacja z marca 2008 r.). W pierwszej połowie bieżącego roku nastąpi kolejna aktualizacja bazy. Przewidywane są kwartalne aktualizacje bazy. Biblioteka Wirtualna Nauki stanowi cyfrową bazę publikacji naukowych z systemem wyszukiwania i przeglądania zgromadzonych publikacji według różnych kryteriów. Opcja przeglądaj służy do przeglądania list obiektów w zależności od ich miejsca w hierarchii. Do przeglądania dostępne są indeksy: czasopisma, autorzy, wydawcy. Wkrótce dołączony będzie słownik słów kluczowych. Wyszukiwać można z poziomu czasopism, autorów, w polu wszędzie. Można łączyć słowa kluczowe lub prowadzić jednoznaczne poszukiwania. Istotnym ułatwieniem szukania i przeglądania jest możliwość nawigacji w bazie dzięki aktywnym linkom w zapisach w wybranych polach. Baza zostanie uzupełniona o opis strony tytułowej czasopisma. Wówczas opis artykułu zostanie wzbogacony o nowe dane (ISSN czasopisma, dane wydawcy). Obsługa bazy jest przyjazna dla użytkownika, a pomoc umieszczona na stronie wystarczająco ukierunkowująca. Umieszczone poniżej przykłady obrazują fragment możliwości wyszukiwawczej bazy AGRO w oprogramowaniu Yadda.

Rys. 7. Opcja przeglądanie – lista obiektów w zależności od ich miejsca w hierarchii

Rys. 7. Opcja przeglądanie – lista obiektów w zależności od ich miejsca w hierarchii
Źródło: opracowanie własne na podstawie: Domena Internetowych Repozytoriów Wiedzy [on-line]. [Dostęp 3 maja 2009]. Dostępny w World Wide Web: http://agro.icm.edu.pl.

Rys. 8. Wyszukiwanie artykułów według pól z możliwością zawężenia

Rys. 8. Wyszukiwanie artykułów według pól z możliwością zawężenia
Źródło: opracowanie własne na podstawie: Domena Internetowych Repozytoriów Wiedzy [on-line]. [Dostęp 3 maja 2009]. Dostępny w World Wide Web: http://agro.icm.edu.pl.

Rys. 9. Wyszukiwanie według autora (linkowanie do współautorów, tytułów czasopism i roczników)

Rys. 9. Wyszukiwanie według autora (linkowanie do współautorów, tytułów czasopism i roczników)
Źródło: opracowanie własne na podstawie: Domena Internetowych Repozytoriów Wiedzy [on-line]. [Dostęp 3 maja 2009]. Dostępny w World Wide Web: http://agro.icm.edu.pl.

Z wybranego rekordu można nawigować do innych prac danego autora, prac współautorów, innych publikacji w danym czasopiśmie. System zapewnia użytkownikom wieloaspektowy dostęp do informacji według pojedynczych i złożonych kryteriów wyszukiwawczych.

Rys. 10. Przeglądanie zasobów wybranego tytułu czasopisma

Rys. 10. Przeglądanie zasobów wybranego tytułu czasopisma
Źródło: opracowanie własne na podstawie: Domena Internetowych Repozytoriów Wiedzy [on-line]. [Dostęp 3 maja 2009]. Dostępny w World Wide Web: http://agro.icm.edu.pl.

Rys. 11. Fragment listy artykułów zawartych w wybranym roczniku tytułu czasopisma

Rys. 11. Fragment listy artykułów zawartych w wybranym roczniku tytułu czasopisma
Źródło: opracowanie własne na podstawie: Domena Internetowych Repozytoriów Wiedzy [on-line]. [Dostęp 3 maja 2009]. Dostępny w World Wide Web: http://agro.icm.edu.pl.

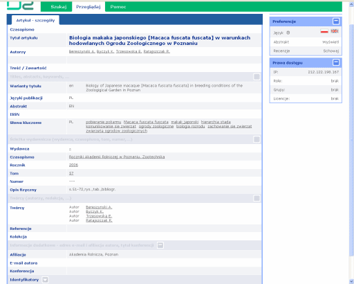
Rys. 12. Ostateczny rezultat wyszukiwawczy – pełen opis bibliograficzny artykułu ze słowami kluczowymi zlinkowany do słownika słów kluczowych, autorów, czasopisma

Rys. 12. Ostateczny rezultat wyszukiwawczy – pełen opis bibliograficzny artykułu ze słowami kluczowymi zlinkowany do słownika słów kluczowych, autorów, czasopisma
Źródło: opracowanie własne na podstawie: Domena Internetowych Repozytoriów Wiedzy [on-line]. [Dostęp 3 maja 2009]. Dostępny w World Wide Web: http://agro.icm.edu.pl.

W opcji wyszukiwania w polu wszędzie – wyszukana fraza może występować w opisie wybranego artykułu czasopisma w dowolnym miejscu tekstu (w tytule, słowach kluczowych). Udostępnianie bazy AGRO na platformie Biblioteki Wirtualnej Nauki ICM UW daje wszechstronne możliwości wyszukiwawcze. Baza AGRO-LIBREX i baza AGRO-AGEN zostały połączone w jedną bazę, co ułatwia proces wyszukiwawczy. Wykazy czasopism indeksowanych w bazach zostały połączone w jeden wykaz w porządku alfabetycznym. Obecnie użytkownicy sieci bibliotecznej Uniwersytetu Przyrodniczego w Poznaniu mogą korzystać z bazy równolegle poprzez przeglądarkę WWW biblioteki oraz z platformy ICM UW.

Wykorzystanie baz AGRO – wyniki ankiet czytelniczych

Biblioteka Główna Uniwersytetu Przyrodniczego w Poznaniu na przestrzeni lat przeprowadzała ankiety w celu uzyskania opinii użytkowników o bazie AGRO. W ankiecie przeprowadzonej w roku 1999, 96% ankietowanych (71 osób) wykorzystywało bibliograficzne bazy danych, w tym AGRO-LIBREX – 74,6% osób; AGRO-AGEN – 25,3%; AGRO-KONF – 21,1%. 60% respondentów uznało ogólną dostępność baz danych jako czynnik zachęcający do samodzielnego korzystania z nich. Na pytanie, czy czytelnicy znajdują poszukiwane informacje, 68% ankietowanych uznało bibliograficzne bazy danych za wyczerpującą informację o zawartości polskich wydawnictw ciągłych oraz materiałów konferencyjnych[4].

W roku 2004 w przeprowadzonej w bibliotece ankiecie czytelniczej zbadano wykorzystanie baz bibliograficznych w porównaniu z bazami abstraktowymi i pełnotekstowymi. Według danych, spośród 99 ankietowanych tylko 51% odpowiedziało pozytywnie na pytanie o wykorzystanie baz danych dostępnych w bibliotece. Najczęściej wykorzystywano bazy: AGRO – 28%, EBSCO – 23,5%, Elsevier –13,2%, Agris – 10,30%, Science Citation Index – 11,8%[5].

W roku 2007 przeprowadzono w bibliotece ankietę na temat wykorzystania bazy AGRO na tle innych dostępnych dla czytelników baz bibliograficznych i abstraktowych. Ankietę przeprowadzono wśród studentów, doktorantów i pracowników naukowych. Na pytanie, które wymienione w ankiecie bazy najczęściej wykorzystują, odpowiedziano: AGRO – 82%, FSTA – 13%, CAB Abstracts – 10%, AGRICOLA – 6%, BazTech – 4%. Z przeprowadzonej ankiety wynika, że 15% respondentów w 80–100% w poszukiwaniach informacyjnych wykorzystuje bazę AGRO, 22% wykorzystuje AGRO w 50–80% w poszukiwanej literaturze. W 30–50% baza jest wykorzystywana przez 39% ankietowanych. 46% respondentów wyszukuje informację za pomocą nazwisk autorów artykułów, 51% za pomocą słów kluczowych, 21% po tytułach artykułów, a 16% według tytułów czasopism[6]. Użytkownicy oceniali bazę AGRO w zależności od efektywności wyszukiwania, a także od łatwości korzystania.

Statystyka wykorzystania i przykładowe opinie użytkowników bazy AGRO

  1. Uniwersytet Przyrodniczy w Poznaniu Od marca 2005 r. baza AGRO jest dostępna na stronie WWW na wszystkich komputerach w sieci bibliotecznej oraz na stanowiskach sieciowych w katedrach i instytutach Uniwersytetu Przyrodniczego w Poznaniu. Wykorzystanie bazy AGRO kształtowało się następująco: 2006 r. – 72 085 zapytań do bazy AGRO, w roku 2007 – 110 809 zapytań, w roku 2008 – 90 154 zapytań, 2009 r. (styczeń-marzec) – 12 450 zapytań. Rekordowym miesiącem okazał się listopad 2007 r., w którym zarejestrowano 14 108 zapytań. Ogólne wykorzystanie bazy AGRO od marca 2005 r. do marca 2009 r. w naszej uczelni wynosiło: liczba zapytań ogółem – 339 991 (2639), średnia liczba zapytań dziennie – 231 (376), zapytania o strony ogółem – 254 326 (2092), średnia liczba zapytań o stronę dziennie – 173 (298), dane przesyłane ogółem – 3,89 gigabajtów (30,40 megabajtów), średnia ilość danych przesyłana dziennie – 2,71 megabajtów (4,34 megabajtów). Cyfry umieszczone w nawiasach oznaczają dane za okres 1–11 marca 2009 r.
  2. Przykłady wykorzystania bazy – odbiorcy zewnętrzni Monitoring całkowity wykorzystania bazy AGRO jest niemożliwy, ponieważ nie wszyscy nasi odbiorcy prowadzą odpowiednie statystyki. Należy też wziąć pod uwagę fakt, iż tylko w uczelniach, które zakupiły wersje sieciowe bazy, dostęp do niej był możliwy na wszystkich komputerach w sieci uczelni. Przy zakupie wersji jednostanowiskowej biblioteki udostępniały bazę tylko w oddziałach informacji naukowej na jednym stanowisku, co powodowało ograniczenia wykorzystania bazy.

Przykładowe opinie o wykorzystaniu bazy AGRO z roku 1999:

  • Biblioteka Główna Akademii Rolniczej w Szczecinie – 90% zapytań w Oddziale Informacji Naukowej naszej Biblioteki jest kierowane do bazy AGRO, 95% odpowiedzi na wszystkie pytania kierowane do Oddziału pochodzi z baz AGRO. Nie podlega dyskusji, że baza jest potrzebna. Jest to podstawowe źródło informacji, zwłaszcza w pracy ze studentami.
  • Uniwersytet Warmińsko-Mazurski. Biblioteka Główna – Baza AGRO jest najczęściej wykorzystywaną polską bazą u nas: w 1999 r. baza AGRO była przeszukiwana dla 4269 tematów, baza SIGŻ – 892 tematów, BZCz – 935 tematów.
  • Biblioteka Główna Akademii Techniczno-Rolniczej w Bydgoszczy – Bazy te posiadamy od samego początku ich powstania w wersji jednostanowiskowej i są w tym samym stopniu wykorzystywane co inne bazy z zakresu rolnictwa, jakie posiadamy. Stwierdzamy dużą ich przydatność i zainteresowanie nimi, zwłaszcza przez studentów… Osoby korzystające z tych baz wysoko oceniają indeks słów kluczowych, który jest opracowany bardzo szczegółowo z zachowaniem w dużej mierze języka naturalnego, co jest dużym ułatwieniem dla użytkowników korzystających z tych baz.
  • Biblioteka Główna Akademii Rolniczej we Wrocławiu – Baza AGRO-LIBREX jest cennym źródłem informacji między innymi ze względu na indeksowanie tytułów czasopism nieuwzględnionych w bazie SIGŻ…Wartość merytoryczną bazy podnosi także sposób szczegółowej klasyfikacji pracy… uważamy, że baza AGRO-LIBREX jest cennym i bardzo przydatnym źródłem informacji bibliograficznej.
  • Biblioteka Główna Szkoły Głównej Gospodarstwa Wiejskiego w Warszawie – Baza AGRO jest bardzo często wykorzystywana przez naszych użytkowników, jest w niej wiele pozycji bibliograficznych, których nie uwzględniają zagraniczne bazy danych oraz polska baza SIGŻ. Przydatność szczególnie dla studentów korzystających z polskiej literatury jest bezsporna[7].

Statystyka wykorzystania bazy AGRO w latach 2006–2007: Uniwersytet Warmińsko-Mazurski – w 2006 r. poszukiwano w bazie AGRO 12 390 tematów, w 2007 r. 10 120 tematów. Akademia Rolnicza w Szczecinie – w roku 2006 z bazy skorzystało 1577 osób, wyszukując 47 860 artykułów z czasopism, w roku 2007 – 1483 osoby wyszukały 69 112 artykułów. Szkoła Główna Gospodarstwa Wiejskiego w Warszawie – w roku 2006 w Oddziale Informacji Naukowej Biblioteki Głównej z bazy AGRO korzystało 1868 osób, w roku 2007 – 1280 osób. W innych agendach Biblioteki Głównej SGGW nie prowadzono statystyki dotyczącej wykorzystania bazy AGRO. Akademia Podlaska w Siedlcach – w roku 2006 z bazy AGRO skorzystało 547 osób, liczba poszukiwań wyniosła – 2735, w roku 2007 korzystało z bazy 619 osób, liczba poszukiwań to 3100 artykułów[8].

Tempus fugit

Popularność bazy AGRO sukcesywnie wzrasta. Autorzy bazy dowiedli, iż bibliotekarze potrafią nie tylko korzystać z gotowych źródeł informacji naukowej, ale również sami tworzyć wartościową bazę danych. Główną zaletą bazy jest dostęp do informacji tematycznej. Baza stwarza większe możliwości wykorzystania czasopism i umożliwia sprawniejsze działanie wypożyczalni. Jest bogatym źródłem wiedzy dla wszystkich czytelników, niezależnie od poziomu wykształcenia. Baza AGRO jest wykorzystywana przy opracowywaniu badań naukowych, prac semestralnych i magisterskich studentów, służy doradztwu rolniczemu, pracownikom różnych gałęzi przemysłu, uczniom szkół średnich, bibliotekarzom z innych uczelni. Jest narzędziem edukacji informacyjno-komunikacyjnej prowadzonej przez bibliotekę. Pośredniczy w przekazywaniu wiedzy, ułatwiając dotarcie do jej źródeł. Przyczynia się do budowania społeczeństwa informacyjnego (przetworzone i zinterpretowane przez człowieka dane), społeczeństwa wiedzy (czyli ogółu wiarygodnych informacji o nauce wraz z umiejętnością ich wykorzystania) i edukacji (związek z rozwojem umysłowym i wiedzą człowieka)[9]. 16 lat funkcjonowania bazy AGRO w środowisku bibliotekarskim i naukowym udowodniło jej niekwestionowaną wartość dla nauki i edukacji. Zasadność dalszego rozwoju naszej bazy potwierdzają słowa: Jakościowa zmiana, jaka zachodzi w zakresie wyszukiwania w źródłach elektronicznych, wiąże się głównie z wykształceniem się specyficznej relacji użytkownik-źródło. Najważniejszymi cechami tej relacji jest interaktywność oraz indywidualizacja, która sprzyja dostarczaniu informacji, adresowanej do konkretnego użytkownika realizującego określone zadanie[10]. Baza AGRO posadowiona na platformie ICM UW dołączyła do elektronicznych źródeł informacyjno-edukacyjnych w wolnym dostępie, dzięki czemu możliwe jest powszechne, nielimitowane korzystanie z bazy jako cennego źródła wyselekcjonowanej informacji naukowej z zakresu nauk przyrodniczych, rolniczych i technicznych.

Przypisy

[1] DASZKIEWICZ, M., KAPUSTA, J., KARPIŃSKA-PAWLAK, E. Wykorzystanie zasobów int w przedsiębiorstwie przyszłości. W: PIETRUCH-REIZES, D., BABIK, W. (red.). Usługi – Aplikacje – Treści w gospodarce opartej na wiedzy. Warszawa: Polskie Towarzystwo Informacji Naukowej, 2004, s. 162–163. Prace PTIN, nr 5.

[2] GOBAN-KLAS, T. Media i komunikowanie masowe. Teorie i analizy prasy, radia, telewizji i Internetu. Wyd. 2. Warszawa: Wydaw. PWN SA, 2004, s. 293. ISBN 83-01-14300-2.

[3] Odesłania do stron internetowych przedstawiają wersję aktualną w dniu 25 marca 2009 r.

[4] GOŁĄB, W., KASPRZAK, Z., TOMASZEWSKA, R. AGRO – Bibliograficzna Baza Danych z zakresu polskiego piśmiennictwa przyrodniczego i rolniczego Biblioteki Głównej i Centrum Informacji Naukowej Akademii Rolniczej w Poznaniu. W: Infobazy’99. Bazy danych dla Nauki. Materiały z konferencji organizowanej pod patronatem Komitetu Badań Naukowych. Gdańsk, 30 sierpnia – 1 września 1999. Gdańsk: Centrum Informatyczne TASK, 1999, s. 178. ISBN 83-88007-24-6.

[5] POLARCZYK, M., TOMASZEWSKA, R., TOMASZEWSKI, R. Obsługa czytelników w dobie społeczeństwa informacyjnego na przykładzie Biblioteki Głównej i Centrum Informacji Naukowej Akademii Rolniczej im. Augusta Cieszkowskiego w Poznaniu. W: Konferencja na temat: Polskie biblioteki akademickie w Unii Europejskiej, Łódź, 23–25 czerwca 2004 r.: materiały konferencyjne. Łódź: Wydaw. Politechniki Łódzkiej, 2004, s. 282–285. ISBN 83-920302-1-4.

[6] KASPRZAK, Z., POLARCZYK, M. Baza AGRO – profesjonalna usługa informacyjna na rzecz nauki i edukacji przyrodniczej i rolniczej. Studium porównawcze i perspektywy. IX Krajowe Forum Informacji Naukowej i Technicznej: Wymiana Informacji i Rozwój Profesjonalnych Usług Informacyjnych w Edukacji, Nauce i Kulturze na Rzecz Społeczeństwa Opartego na Wiedzy. Zakopane, 25–28 września 2007 (praca w druku).

[7] Fragmenty opinii przesłanych w 2000 r. przez użytkowników bazy AGRO do dyrektora Biblioteki Akademii Rolniczej w Poznaniu (obecnie UP w Poznaniu).

[8] KASPRZAK, Z., TOMASZEWSKA, R., POLARCZYK, M. Elementy marketingu i finansowania bazy AGRO. W: Materiały Konferencji INFOBAZY 2008. Systemy – Aplikacje – Usługi. Sopot, 15–17 października 2008. Gdańsk: Centrum Informatyczne TASK, 2008, s. 307–308.

[9] HALL, H. Znaczenie i kierunki rozwoju szkolnictwa wyższego w erze społeczeństwa informacyjnego. W: HALES, C.F. (red.). Społeczeństwo informacyjne. Stan i kierunki rozwoju w świetle uwarunkowań regionalnych. Rzeszów: Wydaw. Uniwersytetu Rzeszowskiego, 2008, s. 492. ISBN 978-83-7338-383-8.

[10] PRÓCHNICKA, M. Pojęcie i specyfika elektronicznych źródeł informacji. W: KOCÓJOWA, M. (red.). Przestrzeń informacji i komunikacji społecznej. Kraków: Wydawnictwo Uniwersytetu Jagiellońskiego, 2004, s. 58–59. ISBN 83-233-1427-8.

Bibliografia

  1. HALES, C.F. (red.). Społeczeństwo informacyjne. Stan i kierunki rozwoju w świetle uwarunkowań regionalnych. Rzeszów: Wydaw. Uniwersytetu Rzeszowskiego, 2008. ISBN 978-83-7338-383-8.
  2. KASPRZAK, Z., TOMASZEWSKA, R., POLARCZYK, M. Elementy marketingu i finansowania bazy AGRO. W: Materiały Konferencji INFOBAZY 2008. Systemy – Aplikacje – Usługi. Sopot, 15–17 października 2008. Gdańsk: Centrum Informatyczne TASK, 2008, s. 304–309.
  3. KOCÓJOWA, M. (red.). Przestrzeń informacji i komunikacji społecznej. Kraków: Wydaw. Uniwersytetu Jagiellońskiego, 2004. ISBN 83-233-1427-8.
  4. SOSIŃSKA-KALATA, E., CHUCHRO, E., DASZEWSKI, W. (red.). Informacja w Sieci. Problemy, metody, technologie. Warszawa: Wydaw. SBP, 2006. ISBN 83-89316-66-8.
  5. SZWED, R. (red.). Społeczeństwo informacyjne. Lublin: Wydaw. KUL, 2003. ISBN 83-7363-087-2.
            

Poprzedni - Spis treści - Następny

(C) 2009 EBIB

            Baza Danych AGRO - 16 lat działalności na rzecz nauki i edukacji / Mariusz Polarczyk, Renata Tomaszewska // W: Bibliograficzne bazy danych : kierunki rozwoju i możliwości współpracy. Bydgoszcz, 27-29 maja 2006. - [Warszawa] : Stowarzyszenie Bibliotekarzy Polskich, K[omisja] W[ydawnictw] E[lektronicznych], Redakcja "Elektronicznej Biblioteki", 2009. - (EBIB Materiały konferencyjne nr 19). - ISBN: 83-921757-5-1. -Tryb dostępu : http://www.ebib.pl/publikacje/matkonf/mat19/polarczyk_tomaszewska.php